
In 2019, Storm Dorian destroyed the Abacos and Grand Bahama before skirting up the eastern seaboard making landfall on the eastern tip of Canada. Please see our “Bahamas after Dorian” page for current status of chartering and sailing in the Bahamas.
How did Dorian form?

Dorian was formed on the 24th of August by a tropical wave. A tropical wave is a low pressure, orientated from North to South which moves eastwards. This then combined with the high air pressure which lies in the doldrums or Intertropical Convergence Zone (ITCZ), located close to the termal equator.
Click here to donate through PayPal Via Global Empowerment Mission.
Tropical waves explained

Tropical waves in the Atlantic develop from disruptions, which develop as far east as Sudan. They then drift across the continent into the Atlantic. These waves are either formed or enhanced by African Easterly Jet (The African easterly jet is a region of the lowest layer of the earth atmosphere, over West Africa where the seasonal mean wind speed is at a maximum and the wind is easterly).
The clockwise circulation of the large transoceanic high-pressure cell or anticyclone centered near the Azores islands, labeled the Azores high above image produces easterly waves away from the coastal areas of Africa towards North America.
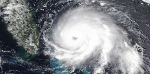
When was Dorian at her peak intensity?

Dorian intensified while moving toward the Abacos and close by islands, before becoming a hurricane on August 28th. The rapid intensification of Dorian meant that on August 31st, she was placed into Category 4 – a major hurricane. Less than 24 hours later, Dorian reached Category 5 intensity, peaking with winds of 185 mph and gusts of much more. A minimum central pressure of 910 millibars, the ‘normal’ atmosphere is 1013.13 mbar a huge decrease of pressure meant that she would become to be one of the most devastating hurricanes to hit the Bahamas.
Click here to donate through PayPal Via Global Empowerment Mission.
Why was Dorian moving so slowly?

This question is not to be confused with her wind and gust level. This is in relation to her track. Dorian stalled over the Bahamas for roughly 24 hours, 24 hours of heavy rain and gusts which lead to a 24ft storm surge.

Data has shown that she was traveling as little as 1 mph. This is due to a rare natural phenomenon called the Bermuda high. As the name states, this is a high-pressure atmospheric system. Until the Bermuda high relinquished its ‘hold’ over Dorian, a low-pressure system moved across releasing Dorian, thus allowing her to move in a northerly direction
How can you help?

You can support the relief effort here
Send/order any of these items listed below, to this address:
Global Empowerment Mission
340 NE 59th Terrace,
Miami, FL 33137
- Life Jackets/Floatation Device
- Large sturdy waterproof bags
- Heavy-duty garbage bags
- Solar fans/lights
- Large tarps
- Chain saws
- Generators
- Fuel/oil for generators
- Non-perishable food items
- Dry formula and dry milk products
- Cleaning supplies
- Mold remediation items
- Hygiene products
- Feminine products
- First aid items and kits
- Advil, Tylenol etc for adults and children
- Hand sanitizer
- Medical gloves
- Masks
- Diapers and Wipes
- Baby food and formula
- Pedialite (powder packs)
- Gator aide/Electrolites/hydration powder
- Rehydration salts
- Tents
- Flashlight
- Batteries (especially D)
- Matches/lighters
- Repellent
- Solar battery and solar chargers
- 30 gallon or larger storage containers with lids
- Plastic wrap
- Duct tape / packing tape
- Hand saws
- Work gloves
- Can openers
- Sanitizer/Sanitizer wipes
- Water purification devices
- Disposable plates and cups
- Camp stoves
- Butane tanks
- Utensils
- Nails
- Wrenches/Hammers/Tools
- Candles
- Pet food canned and dry
- Toilet paper
At this time we are in the Search, Rescue and Recovery phase and currently NOT accepting: Clothing, furniture, bedding, toys, charcoal and wood.
To the people of the Bahamas, on behalf of Boatbookings, we look forward to seeing your recovery and booking many more life-changing and memorable charters in your stunning country. You are all in our prayers.